ANASAYFA

İLAN

Loading...

Perşembe

kapalı

12℃

Cuma

parçalı az bulutlu

5℃

Cumartesi

açık

8℃

Pazar

parçalı bulutlu

8℃

Pazartesi

az bulutlu

8℃

HAVA DURUMU

5℃

İLAN
22 Eylül 2020 Salı
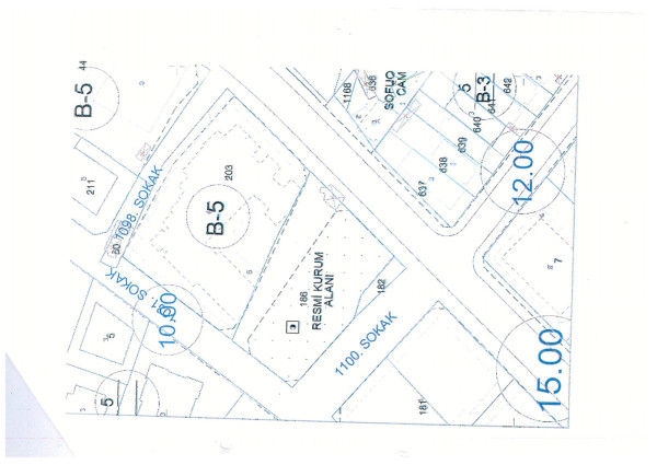
İlçemiz Paşabayır Mahallesi 2358 ada 3 parselde ‘Resmi Kurum Alanı’ amaçlı Plan değişikliği teklifi Belediyemiz Meclisinin 06.02.2020 tarih ve 25 sayılı kararı ile kabul edilmiştir.    Onaylanan,  Plan değişikliği teklifi Balıkesir Büyükşehir Belediyesi Meclisinin 25.08.2020 tarih ve 549 sayılı kararı ile onanmış olup, 3194 sayılı İmar Kanunun 8/b maddesine istinaden bir ay süre ile ilan edilmek üzere askıya çıkarılmış olup; Belediyemiz İnternet sitesinde yayınlanmaktadır. İlgililere ilanen duyurulur.